الأحد
23 نوفمبر 2025
01:33 مـ
2 جمادى آخر 1447
هـ
رئيس مجلس الإدارة
محمد فوزي
رئيس التحرير
ايمن أبو بكر
الرئيسية
أخبار مصر والعالم
رياضة وملاعب
اقتصاد وأسواق
فنون وثقافة
منوعات وأسرة
أخبار الحوادث
تحقيقات وتقارير
دين ودنيا
حقيقة تراجع أسعار اللحوم بالأسواق
تداول فيديو لمعلمة تصفع تلميذا على وجهه.. والتعليم: في تونس مش مصر
اكتشافات جديدة من سفينة سان خوسيه الغارقة منذ 3 قرون
أفضل الشهادات البنكية بعد تثبيت الفائدة
ظواهر جوية شديدة الخطورة.. احذروا تقلبات الطقس الأيام القادمة
×
أخبار مصر والعالم
رياضة وملاعب
اقتصاد وأسواق
فنون وثقافة
منوعات وأسرة
أخبار الحوادث
تحقيقات وتقارير
دين ودنيا
تداول فيديو لمعلمة تصفع تلميذا على وجهه.. والتعليم: في تونس مش مصر
اكتشافات جديدة من سفينة سان خوسيه الغارقة منذ 3 قرون
ظواهر جوية شديدة الخطورة.. احذروا تقلبات الطقس الأيام القادمة
الأرصاد: ارتفاع درجات الحرارة غدا والعظمى بالقاهرة 33
النحلة، سيارات جديدة بديلة للتوك توك في الجيزة
الأمم المتحدة: أعداد النازحين من الفاشر تجاوزت 100 ألف شخص منذ نهاية...
فصل الكهرباء عن هذه المناطق والقرى بكفر الشيخ
حزب الله: نرفض أي شكل من أشكال التبعية والإملاءات الخارجية
خد بالك من تغير الجو والشبورة.. تحذير عاجل من الأرصاد
بيربلكستي تطلق متصفح Comet على أجهزة أندرويد
المتحدث العسكري: القوات المسلحة درع الوطن وسيفه وماضية في الحفاظ على أمن...
طريقة الاستعلام عن مخالفات المرور برقم اللوحة المعدنية
ارتفاع جديد في الحرارة غدا.. والعظمى بالقاهرة 31 درجة مع شبورة كثيفة...
ينتقل عبر خفافيش الفاكهة.. الصحة: مصر خالية من فيروس «ماربورج»
أول تعليق سوري على زيارة نتنياهو للمنطقة العازلة في البلاد
خريطة الأرصاد تتغير والمرتفع الجوي يعود للمشهد.. درجات الحرارة المتوقعة خلال الأيام...
أمطار على بعض المناطق.. الأرصاد تعلن مفاجآت في حالة الطقس
الضبعة أول محطة مصرية لتوليد الكهرباء بالطاقة النووية تمضي بثبات نحو المستقبل...
جيش الاحتلال ينفذ عمليات تفجير وتجريف بحي التفاح في غزة
غلق كلي لـ امتداد محور 26 يوليو أمام جامعة النيل للقادم من...
عقوبات أمريكية جديدة ضد روسيا
وزارة جيش الاحتلال تعلن تحطم طائرة أمريكية في مطار بن جوريون
عطل كلاود فير يضرب النت وخدمات الفيزا و شات جي بي تي
السيسي يتلقى اتصالا هاتفيا من رئيس وزراء المملكة المتحدة
فتح باب التظلمات لمسابقة تعيين 25 ألف معلم مساعد لغة عربية بالتربية...
عطل عالمي في كلود- فلير يشل آلاف المواقع والخدمات
توتر يشتعل شمال الخليل.. مواجهات عنيفة في بيت أمر عقب عملية دهس...
ترامب يهاجم مراسلة بسبب جيفرى إبستين: اصمتى يا خنزيرة
ارتفاع درجات الحرارة غدا.. العظمى في القاهرة 28
مواعيد إعادة الإنتخابات في الدوائر الملغاة
بالأسماء.. إلغاء انتخابات النواب في 19 دائرة
الهيئة الوطنية: إلغاء نتيجة الانتخابات في 19 دائرة بمجلس النواب
موعد افتتاح مونوريل شرق النيل
وزير الاتصالات: 15 علامة تجارية تصنع المحمول في مصر
القانون يحظر حصول النواب على تسهيلات مالية وقروض إلا بشروط
عودة البرودة ليلا مع فرص سقوط أمطار .. تفاصيل هامة عن حالة...
مستجدات الأوضاع في غزة: أصوات انفجارات متتالية.. ومستوطنون يقتحمون بلدات بالضفة
وزير الخارجية: حل الدولتين هو الخيار الواقعي الوحيد لتحقيق السلام
إسرائيل: لا إعادة إعمار لقطاع غزة قبل نزع سلاح حماس
الأرصاد الجوية تكشف حالة طقس الغد
موعد شهر رمضان 2026 فلكيا
الدفاع المدني: غزة غرقت خلال ساعتين من تساقط الأمطار
وظائف شاغرة بالجملة في جامعة القاهرة
فضيحة دبلوماسية.. سوريا تخسر سفارتها في تركيا بسبب العجز عن دفع الإيجار
شبح وبائي يعود للحياة مجددا.. اكتشاف فيروس شلل الاطفال بعد عقود من...
البرهان: نهاية المعركة ستكون فى دارفور
روسيا والصين تعارضان المقترح الأمريكى لـ غزة فى مجلس الأمن
طرح شقق سكنية جديدة في 6 أكتوبر بالتقسيط
ضبط 20 شركة حج وعمرة وهمية بتهمة النصب على المواطنين
بيان أمريكي عربي إسلامي يدعم مقترح واشنطن بمجلس الأمن بشأن غزة
الأرصاد تكشف حالة الطقس خلال الأسبوع المقبل
رئيس الوزراء يحدد موعد افتتاح حديقة تلال الفسطاط
مدبولي: تلال الفسطاط أكبر حديقة مركزية في الشرق الأوسط
دوى انفجار فى العاصمة السورية دمشق
أمطار غزيرة.. منخفض جوي يتحرك باتجاه القاهرة ومدن القناة
الولايات المتحدة توافق على أول صفقة سلاح مع تايوان في عهد ترامب
إجراءات رادعة بالمتحف المصري الكبير بعد انتشار فيديوهات غير لائقة
هبوط 3 سياح بالبراشوتات في كعابيش بدلا من الأهرامات
مجلس حقوق الإنسان يقرر بالإجماع تشكيل بعثة تقصي حقائق بشأن انتهاكات الفاشر
غدا.. فصل الكهرباء عن قريتين وتوابعهما بكفر الشيخ
إعلان وجود مجاعة بالفاشر وكادوقلي رسميا وتشكيل بعثة تحقيق مستقلة في الفظائع
حماس تنعى رئيس مجلس الأوقاف: ظل صوتا صادقا في الدفاع عن حقوق...
45 ألف جنيه شهريا.. الضبعة النووية تعلن عن عدد من الوظائف
تحذير عاجل من الأرصاد بسبب الأمطار والأتربة
بسبب المصروفات.. استبعاد مدير مدرسة طنطا الثانوية الزراعية لاهانته الطلاب
الصحة العالمية: السودان يعاني واحدة من أكبر أزمات الغذاء في العالم
شيخ الأزهر يستقبل المفكر العالمي جيفري ساكس بمنزله في الأقصر (صور)
الأرصاد: سقوط أمطار في هذه المناطق غدا
سقوط أمطار غزيرة في شمال الصعيد
حظر استيراد السكر 3 أشهر
إعلام عبري: إسرائيل وإيران تستعدان لحرب جديدة
الآلاف تحت الأنقاض.. متحدث الدفاع المدني الفلسطيني يكشف حجم الكارثة الإنسانية بغزة
كيفية التقديم للحصول على وحدات الإسكان الجديدة عبر منصة مصر العقارية
روسيا: 100 طائرة مُسيّرة أوكرانية حاولت مهاجمة منطقة بيلجورود آخر 24 ساعة
بسبب تقييم الأداء.. إقالة عدد من قيادات البنية الأساسية في هيئة السكة...
بديل بطاقة التموين.. ما هي مميزات الكارت الموحد 2025؟
علينا منع تسليحهم.. أمريكا تهاجم الدعم السريع في السودان
وزير الخارجية السوري يرفع علم بلاده فوق سفارة سوريا في بريطانيا
سرايا القدس وكتائب القسام تسلم جثة أحد الأسرى لسلطات الاحتلال
تسوية محتملة.. واشنطن تتحرك لاحتواء أزمة مقاتلي حماس العالقين في رفح
السيسي: الرياضة ليست مجرد نشاط بل هي أسلوب حياة يجب أن نغرسه...
الأرصاد تحذر من أمطار رعدية اليوم وزيادة حدتها على هذه المناطق
أول تعليق من السودان على تصريحات وزير الخارجية الأمريكي
السيسي يتابع الموضوعات المُتعلقة بالمنظومتين الشبابية والرياضية
خطوة بخطوة.. كيفية حجز كشف التأمين الصحي بسهولة؟
صحة غزة: إجمالي الشهداء منذ وقف إطلاق النار بلغ 260
موجة تقلبات جوية مفاجئة.. موعد بداية فصل الشتاء فلكيًا
”الوزراء” يستعرض ملامح المدن المستدامة في ظل التحديات البيئية والتحولات الحضرية
أقصر نهار في عام 2025
25 ألف شقة.. تفاصيل الطرح الجديد لـ الإسكان الاجتماعي
بيان تحذيري من هيئة الأرصاد حول بدء موجة من التقلبات الجوية
زلزال يضرب قبرص.. والشرقية أكثر المحافظات شعورًا بالهزة في مصر
رابط رسمي.. موعد التقديم في طرح 25 ألف وحدة سكنية عبر منصة...
مواعيد قطارات السفر بين القاهرة والإسكندرية
ارتفاع حصيلة الشهداء في قطاع غزة إلى 69,185 شهيدا
4500 فرصة عمل جديدة بمشروع الضبعة النووي
السيسي يصدر قانون الإجراءات الجنائية الجديد
تعديل الخريطة الزمنية للدراسة وتحديث المناهج.. ماذا أعلن وزير التعليم اليوم؟
100 فرصة عمل جديدة لذوي الهمم بسلسلة مطاعم عالمية
الدفاع الروسية تسيطر على بلدة سوخوي يار في دونيتسك الشعبية
حوافز غير ضريبية للمشروعات الصغيرة والمتوسطة بالقانون
35 ألف جنيه للمتر.. كراسة شروط وأسعار مشروع وحدات ظلال وأنظمة السداد
آخر موعد سداد رسوم حج القرعة 2026 والمستندات المطلوبة كاملة
وفاة الطاقم بالكامل.. شاهد لحظة سقوط طائرة شحن تركية عسكرية
أبو مازن: قريبون من صياغة دستور دولة فلسطين المؤقت
السيسي يقدم التعازي للرئيس الكيني في ضحايا الانزلاق الأرضي
موعد صرف معاشات شهر ديسمبر 2025 بالزيادة الجديدة
التفاصيل الكاملة لمشروع القطار الكهربائي السريع ”حابي”
حالة الطقس ودرجات الحرارة اليوم الثلاثاء
التموين تطرح عبوات زيت جديدة بفئات سعرية متنوعة
وزير الخارجية: تقسيم السودان خط أحمر
الوطنية للانتخابات: لا توجد خروقات والغلق وفق إجراءات دقيقة
موعد إطلاق نانو بنانا 2 من جيميناي
خطوات الاستعلام عن اللجنة الانتخابية.. رابط مباشر
التعليم: تعطيل الدراسة في المدارس التي تجري بها انتخابات غدا
بالجلباب الصعيدي، صمم صورتك بالذكاء الاصطناعي على تطبيق جيميناي
الجلباب الصعيدي يجتاح مواقع التواصل بعد انتقادات سمر فرج فودة للزي التراثي
الأمير الحسين بن عبد الله الثانى يؤدى اليمين الدستورية نائبا لملك الأردن
دراسة: شات جي بي تي وجيميناي يحملان تحيزات جنسية وعرقية ودينية
الطقس غدا.. أجواء خريفية وفرص أمطار تغطي هذه المناطق
الأرصاد: كتل هوائية صحراوية تتسبب في ارتفاع درجات الحرارة
الاحتلال يخرق هدنة غزة.. استشهاد وإصابة فلسطينيين بمخيم البريج
هل يحصل طلاب المدارس على إجازة خلال انتخابات مجلس النواب 2025؟
خليل الحية: أحداث 7 أكتوبر كانت ردا على تهميش القضية الفلسطينية
أسعار الدواجن تسجل 58 جنيها.. شعبة الدواجن تعلن مفاجأة
زلزال بقوة 5.6 درجة يضرب خليج كاليفورنيا
الطقس غدا.. خريفي مائل للبرودة يصاحبه أمطار بهذه المحافظات
ماكرون يدعو الشرع لمحاربة داعش
الحوثي: أسقطنا لأمريكا 22 طائرة إم كيو-9 بسبب مساندتها للاحتلال
الدفاع الروسية تعل تدمير 7 زوارق مسيرة تابعة للقوات الأوكرانية في البحر...
مهمتنا القتل فقط.. تحقيق يكشف فظائع قوات الدعم السريع في السودان
أسعار السلع الغذائية بأسواق محافظة الوادي الجديد
الرئيس الأمريكي: نتوقع نشر قوة حفظ سلام في غزة قريبًا
حظر استخدام السكوتر الكهربائي في تلك المحافظات
ما هو الصمت الدعائي؟.. هل توجد محظورات للدعاية الانتخابية؟ (إنفوجراف)
تفاصيل قرار مجلس الأمن برفع العقوبات عن الشرع قبيل لقاء ترامب
الخارجية السورية تكشف حقيقة إنشاء قاعدة أمريكية في سوريا
هيئة البث الإسرائيلية: المجلس الوزاري المصغر يجتمع لبحث احتمال التصعيد مع لبنان
موقع أمريكي يكشف اسم الدولة المتوقع انضمامها إلى اتفاقية إبراهيم
موعد تصويت المصريين بالخارج في انتخابات النواب
المبعوث الأمريكى: انضمام دولة جديدة لاتفاقيات إبراهيم اليوم
حظر سكوتر الأطفال الكهربائي والتكاتك في شوارع القاهرة
مقابل عفو مشروط.. واشنطن تقترح استسلام مقاتلي حماس في أنفاق رفح وتسليم...
قرار عاجل بعقد التقييم المبدئي للصفين الأول والثاني الابتدائي.. 14 ديسمبر
حزب الله: نؤكد حقنا المشروع في مقاومة الاحتلال والوقوف إلى جانب جيشنا
حماية المستهلك يضبط محطة غير مرخصة لتعبئة المياه المعدنية ويصادر 80 ألف...
وزارة الدفاع الروسية تعلن مقتل 825 عسكري أوكراني
بالرقم القومي.. خطوات الاستعلام عن نتيجة القرعة الإلكترونية عبر بوابة الحج المصرية
جيش الاحتلال يستعد لتدخل عسكري في لبنان
مساء الجمعة.. قطع المياه لمدة 8 ساعات عن بعض مناطق الجيزة
قرار نهائي بشأن الحد الأقصى لصرف الحصص الزائدة فوق النصاب القانوني للمعلمين
إيران تشيد بموقف الصين بشأن آلية ”سناب باك” في مجلس الأمن الدولي
غزالة هاشمي.. أبرز المعلومات عن أول مسلمة تفوز بمنصب نائب حاكم ولاية...
الصحة: توطين 168 مادة فعالة مستوردة بقيمة 1.4 مليار دولار
محكمة تابعة للاحتلال تمدد اعتقال المدعية العسكرية 3 أيام
طلاب ومستوطنون يهود يقتحمون المسجد الأقصى
صور الأقمار الصناعية تكشف رعبا يحدث في السودان.. مذابح ومقابر جماعية
الأوراق المطلوبة للتعاقد على الغاز الطبيعي
بعد انتشار متحور جديد بالماشية.. هل اللحوم في الأسواق آمنة؟
لوعايز توكل حد في زواجك بالشهر العقاري.. تعرف على المستندات المطلوبة
توقف دعاية المرشحين بانتخابات مجلس النواب للمرحلة الأولى.. غدًا
40 قتيلا في هجوم على جنازة بكردفان بالسودان
خطوات تسجيل فاتورة الغاز الطبيعي شهر نوفمبر 2025
حماس تعلن عثورها على جثة أسير إسرائيلي بالشجاعية
حقيقة احتجاز هيئة قناة السويس للناقلة DIGNITY
بالشروط وطريقة التقديم.. 4 الآف وظيفة حكومية خالية بهيئة الإسعاف
حرب غزة تكلف الاحتلال 77 مليار دولار في عامين من الإبادة
إزاي أروح المتحف المصري الكبير بالمترو؟
الإسكان الاجتماعي يرسل رسائل لحاجزي «سكن لكل المصريين 7»
أمريكا ترسل مشروع قرار إلى مجلس الأمن لإنشاء قوة دولية في غزة...
”التموين” تتيح ضد ضم أفراد الأسرة الجدد على بطاقات التموين.. الشروط والخطوات
بدء الصمت الانتخابي في انتخابات النواب الخميس المقبل.. و100 ألف جنيه غرامة...
نصائح مهمة لزيارة المتحف المصري الكبير
وزير التعليم يؤكد أهمية التقييمات الأسبوعية للطلاب
المتحف المصري الكبير يفتح أبوابه أمام الزوار
زاهي حواس: حضارة العراق جاءت بعدنا بـ200 سنة
الاستعلامات: مئات الملايين من سكان العالم في القارات الخمس تابعوا افتتاح المتحف...
اكتشاف قلعة عسكرية جديدة من عصر الدولة الحديثة على طريق حورس الحربي...
الأرصاد: تحسن نسبي في الأحوال الجوية على أغلب الأنحاء.. والعظمى في القاهرة...
الأرصاد: أمطار على هذه المناطق غدا
السعودية: ضبط شخصا خالف التعليمات داخل الحرم ”فيديو”
الديانة الآتونية تعود إلى الواجهة مع افتتاح المتحف المصري الكبير
الوطنية للانتخابات تحدد مقار اللجان العامة في انتخابات مجلس النواب
هطول أمطار رعدية على الإسكندرية
الصين ترد على اتهامات ترامب بإجرائها تجارب نووية سرًا
غزة تحت النار.. الاحتلال يوسع هجماته إلى جميع الاتجاهات
نفق تحت البحر المتوسط.. التخطيط لمشروع عملاق يربط أوروبا بأفريقيا
الجنائية الدولية تعلن اتخاذ خطوات فورية لحفظ الأدلة بشأن جرائم الفاشر
توتر حكومي في تل أبيب بسبب السماح لعناصر حماس بالعودة إلى غزة
الأرصاد تكشف خريطة سقوط الأمطار وشدتها على المحافظات
حماس: مصادقة الكنيست على قانون إعدام الأسرى جريمة فاشية تستدعي تحركا دوليا...
الأرصاد: سقوط أمطار على القاخرة الكبرى والوجه البحري غدا
مخرج حفل افتتاح المتحف الكبير يرد على الانتقادات: أي حاجة في الدنيا...
الآثار تكشف حقيقة منح اليابان حق الانتفاع بالمتحف المصري الكبير
استطلاع: غالبية الأمريكيين يشعرون بعدم الارتياح تجاه مستقبل أمريكا
من خلال اللوتري 2025، طريقة التقديم في الهجرة إلى أمريكا
بيزشكيان يتحدى الضغوط: إيران ستنهض نوويًا أقوى من أي وقت مضى
الأرصاد: سقوط أمطار على شمال الصعيد غدا
تفاصيل حفل افتتاح المتحف الكبير.. نص كلمة الرئيس السيسي
ياسمينا العبد تبهر الحضور في افتتاح المتحف الكبير
موعد صرف معاشات تكافل وكرامة شهر نوفمبر 2025
ضربات عسكرية.. تقارير: إدارة ترامب أعدت قائمة سرية لأهداف محتملة داخل فنزويلا
يديعوت أحرونوت: قلق في إسرائيل من انتقال عدوى مرضى الحصبة إلى الأطباء
أسعار التذاكر تبدأ من 100 جنيه.. مواعيد زيارة المتحف المصري الكبير للجمهور
الأرصاد: غدا طقس مائل للحرارة نهارا مائل للبرودة ليلا
السيسي يصل حفل افتتاح المتحف المصري الكبير (بث مباشر)
رسالة من السيسي لقادة العالم قبيل افتتاح المتحف الكبير
وصول ملوك ورؤساء الدول للمشاركة في افتتاح المتحف الكبير (بث مباشر)
جيش الاحتلال ينفذ غارات على غزة بعد زعمه تسلم رفات لا يعود...
المتحف الكبير.. حماية المستهلك يطلق خدمة ضيف مصر احتفالا بوافديها
التليفزيون المصري ينقل حفل افتتاح المتحف الكبير بـ3 لغات
طريقة عمل صورتك بالزي الفرعوني على جيميناي
شاشات عملاقة في ميادين ومراكز الشباب لنقل حفل افتتاح المتحف المصري الكبير
وصول الوفود المشاركة في افتتاح المتحف المصري الكبير
القنوات الناقلة لحفل افتتاح المتحف المصري الكبير بث مباشر
الخطيب يفوز برئاسة النادي الأهلي
حالة الطقس ودرجات الحرارة اليوم السبت.. سقوط أمطار في هذه المناطق
هل يجوز الجمع بين الأختين؟.. دار الإفتاء ترد
تريند الزي الفرعوني يجتاح مواقع التواصل.. وهذه طريقة صنع صورة بالذكاء...
ترامب: أمريكا لن تقف صامتة أمام المذابح ضد المسيحيين فى نيجيريا
تعرف على الحضور في افتتاح المتحف المصري الكبير اليوم
حماس تدعو المستشار الألماني للالتحاق بالضمير العالمي في إدانة الجرائم الإسرائيلية
جيش الاحتلال يزعم مقتل عنصر بحزب الله في كونين جنوبي لبنان
مواعيد قطارات تالجو بعد تطبيق التوقيت الشتوي
لبنان يعلن زيادة عدد قوات الجيش في الجنوب إلى 10 آلاف جندي
أسعار تركيب عدادات المياه في مصر
حبس عامل أنابيب تحرش بطالبة في مصر القديمة
وزير قطاع الأعمال: تأسيس منظومة تصنيع طبي تخدم الأسواق العربية والعالمية
عباس شراقي: إثيوبيا تمتلك 12 نهرًا منها 3 فقط تصب في...
قناع توت عنخ آمون يضيء سماء الجيزة قبل افتتاح المتحف المصري الكبير
مواعيد غلق المحلات والمقاهى وفقا للتوقيت الشتوى الجديد
بيراميدز يفوز على التأمين الإثيوبى ويتأهل إلى دور الـ16 بدورى الأبطال
الخارجية الأمريكية تنصح مواطنيها فى تنزانيا بالبقاء فى أماكنهم
أسعار تذاكر زيارة المتحف المصرى الكبير
مُجمع الشفاء الطبي: قطاع غزة لم يحصل سوى على 10% من احتياجاته...
الأزهر يدين الانتهاكات المجرمة ضد المدنيين في الفاشر
استعدادات في قطاع غزة لتسليم جثمانين أسرى الاحتلال عصر اليوم
صافرات الإنذار تدوي في غلاف غزة الجنوبي
حزب الله: عدوان الاحتلال على لبنان يتم بشراكة وتواطؤ أمريكي
شاهد.. تطوير منطقة أهرامات الجيزة
الأقمار الصناعية تلتقط صورا لـ برك دماء في الفاشر بعد هجمات الدعم...
تطبيق فيراستي يطلق ثلاث فئات جديدة للتوثيق
تطبيق ”أمة لايف” يطلق ميزة جديدة لتذكير المستخدمين بأذكار الصباح والمساء
موعد تطبيق التوقيت الشتوي.. استعد لتأخير الساعة 60 دقيقة
بعد ارتفاع قيمة واراداته.. خبراء يؤكدون إمكانية زراعة الشاي في مصر
قيمة واردات مصر من الشاي 16.6 مليون دولار خلال شهر
حماس: لن نسمح للاحتلال بفرض وقائع جديدة تحت النار
التعليم تعلن موعد ومكان مقابلات المتقدمين بطلبات الإعارة للدول الناطقة بغير العربية
الحكومة السودانية تدعو إلى تصنيف ميليشيا الدعم السريع كمنظمة إرهابية
ارتفاع عدد شهداء مجازر الاحتلال على غزة منذ مساء أمس لـ 100...
الاحتلال يمنع الصليب الأحمر من زيارة الأسرى الفلسطينيين
موعد افتتاح المتحف المصري الكبير أمام الجمهور وأسعار التذاكر
ارتفاع عدد شهداء غزة إلى 104 شهداء بينهم 46 طفلا و253 مصابا
نقيب الفلاحين: خبراء أثبتوا أن قضاء وقت مع الحمير له فوائد علاجية...
مواعيد المترو والقطار الخفيف في التوقيت الشتوي
حماس: ملتزمون باتفاق وقف إطلاق النار وتسليم جثامين الأسرى الإسرائيليين
الحكومة توافق على 9 قرارات جديدة اليوم
الجهاد الإسلامي يحذر من خطر سياسات الاحتلال ومخططاته على أمن شعوب المنطقة
تأجيل محاكمة 10 متهمين بالسطو المسلح على جواهرجي خليجي وسرقة 5 كيلو...
الحكومة: تخفيض 25% من إجمالي مُقابل التصالح حال السداد الفوري
موعد صرف مرتبات نوفمبر 2025 للعاملين في الدولة
أبرز استخدمات الثوريوم.. بديل آمن لليوارنيوم ومصر تمتلك 6% من احتياطي العالم
معلومات الوزراء يكشف احتياطيات الثوريوم فى مصر
تفاصيل افتتاح سوق العتبة.. الباعة الجائلون لـ مدبولي: مكناش نحلم بحاجة زي...
التعليم توجه المدارس بمتابعة مستوى الطلاب في القراءة والكتابة يوميا
رئيس الوزراء يفتتح مشروع تطوير سوق العتبة.. إعادة الروح لأقدم أسواق القاهرة
موعد صرف مرتبات شهر نوفمبر
شات جي بي تي يستعد لعرض الإعلانات في الدردشة وفقا لاهتماماتك
حالة الطقس ودرجات الحرارة المتوقعة اليوم الثلاثاء.. العظمى في القاهرة 29
هيئة البث الإسرائيلية تبث فيديو جديد لـ يحيى السنوار قبل استشهاده
ماذا يحدث في السودا؟.. البرهان يتعهد بـ”القصاص” لأهالي الفاشر
الملك عبد الله: لن نرسل قوات أردنية لغزة
”شاكر” حفل افتتاح المتحف المصري الكبير سيبهر العالم
ترامب: أصبحت أواجه صعوبة في الحصول على دعم لإسرائيل داخل الولايات المتحدة
بدءا من نوفمبر.. التموين تصرف عبوة زيت إضافية بـ 27 جنيها
أكبر اتحاد لموظفي الحكومة الفيدرالية الأمريكية يطالب بإنهاء الإغلاق فورًا
ترامب يهاجم بوتين بسبب اختبار صواريخ نووية ويطالبه بإنهاء الحرب في أوكرانيا
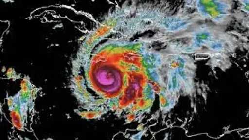
إعصار “ميليسا” العملاق يضرب جامايكا بقوة غير مسبوقة
جدل في نبراسكا بعد تحويل مركز لإعادة تأهيل السجناء إلى مركز احتجاز...
ترامب يلتقي أول رئيسة وزراء لليابان في قمة حاسمة بطوكيو غدا
جيش الاحتلال يتهم يونيفيل بإسقاط مسيرة في جنوب لبنان
حتى 11 دورًا.. المستندات المطلوبة لتراخيص تعلية وتعديل المباني
غدا آخر موعد.. الداخلية تستقبل طلبات حج القرعة
حزب الله: قرار خوض حرب الإسناد دعمًا لغزة كان مدروسًا وصحيحًا
لطلاب الثانوي.. غرامة غياب ورسوم لإعادة القيد لضمان انتظامهم في الدراسة
الخريف المتلون يضرب مصر.. تحذيرات للمزارعين من الأضرار على المحاصيل
هل يدفع الطلاب والأهالي تكاليف تصوير امتحانات شهر أكتوبر؟
مسؤول بالسلطة الفلسطينية: لا يوجد حتى الآن توافق على رئاسة لجنة إدارة...
حاكم دارفور: ندعو إلى تحقيق مستقل في انتهاكات ومجازر ميليشيا الدعم السريع...
الاحتلال يسمح لحماس بالبحث عن الجثامين في عدة نقاط بغزة
أمطار وانخفاض شديد.. الأرصاد تحذر من طقس الإثنين
أجواء باردة وأمطار منتظرة.. تفاصيل حالة طقس الإثنين
قبل افتتاحه.. المتحف المصري الكبير تحفة معمارية تروي عظمة الحضارة الفرعونية
”بوتيم”.. من تطبيق مراسلة إلى ”سوبر آب” إماراتي يجمع الاتصالات والخدمات...
عباس يفتح الطريق أمام حسين الشيخ ليتولى منصب الرئيس القادم
تقرير فلسطيني يحذر من مخططات إسرائيلية للاستيلاء على أراضي الضفة الغربية والقدس
القائمة الكاملة لتشكيل اللجان النوعية بمجلس الشيوخ
اليونيسيف: آلاف الأطفال في غزة بحاجة إلى علاج من سوء التغذية
غزة تواجه حرب البقاء وسط تدمير شامل وانهيار الخدمات الأساسية
إسرائيل توافق على دخول ممثل عن حماس إلى داخل الخط الأصفر
قوات الدعم السريع تعلن بسط سيطرتها على مدينة الفاشر غربي السودان
يشبه الأرض.. اكتشاف كوكب خارجي قد يصلح للحياة قريبا
أسعار برنامج الحج الخمس نجوم 2025.. وكيفية التقديم على موقع نسك عمرة
هآرتس: جيش الاحتلال يحول أطراف غزة إلى مكب للنفايات
مؤيدة للفلسطينيين.. من هي رئيسة إيرلندا كاثرين كونولي
ترامب يقرر زيادة الرسوم على كندا.. السبب إعلان زائف
البرازيل ومعادنها النادرة.. الورقة الخفية بمواجهة الرسوم الأمريكية
الوطنية للانتخابات: تنازل 20 مرشحا عن خوض انتخابات النواب
”ميتور”.. منصة تواصل اجتماعي مصرية جديدة تنافس الكبار وتروج لتجربة عربية خالصة
حزب الله: لن نسلم سلاحنا.. والضغط الأوروبي الأمريكي لن يؤثر علينا
روسيا تصعد العمليات العسكرية في أوكرانيا بإطلاق صواريخ وطائرات مسيرة عالية الدقة
طقس أكتوبر 2025 يختتم بحرارة مرتفعة وأجواء مستقرة
تفاصيل وظائف البنك الزراعي المصري
بعد الإعلان عن بدء تطبيقه.. كيفية استخراج الكارت الموحد 2025
فتح: الأمن في قطاع غزة مسئولية الأجهزة الأمنية الفلسطينية الرسمية
إعلام إيراني يكشف معلومات سرية عن صناعات عسكرية إسرائيلية
السبت 1 نوفمبر إجازة رسمية بسبب افتتاح المتحف المصري الكبير
بتكلفة 300 مليون دولار.. بماذا سمى ترامب قاعة الرقص بالبيت الأبيض؟
الأرصاد: شبورة مائية على هذه المناطق غدا
”فيراستي”.. منصة تواصل اجتماعي جديدة تنافس فيسبوك وإكس
الأوقاف تحظر استخدام المساجد في الدعاية الانتخابية
الجيش النيجيري يقتل 50 مسلحا من جماعة بوكو حرام
روبيو: لا بديل عن خطة ترامب بشأن غزة وضم الضفة الغربية يهدد...
الاحتلال يستعد لاستقبال جثماني محتجزين قُتلا في غزة.. والقسام تعلن العثور عليهما
الأوراق المطلوبة وطريقة عمل قيد عائلي من المنزل
مقتل شخصين في غارة إسرائيلية بطائرة مسيرة جنوب لبنان
الإسكان: إطلاق الاستراتيجية الوطنية للعمران الأخضر في مصر
تشديد لبناني غير مسبوق لمنع الصيد البري وحماية الطيور المهاجرة
ترامب عن الضفة الغربية: إسرائيل لن تفعل شيئا
الأرصاد تكشف حالة طقس غد الجمعة
مصر و14 دولة عربية وإسلامية تدين مصادقة الكنيست على فرض سيادة إسرائيل...
قرار عاجل بتوحيد زمن عزف السلام الوطني في جميع المدارس
وزير خارجية الاحتلال يُوجّه طلبًا عاجلًا لحركة حماس
من أندر الظواهر الضوئية في العالم.. ومضات سماوية نادرة تدهش نيوزيلندا
غارات للاحتلال على منشآت لقوة الرضوان في حزب الله
مجمع البحوث يعلن مواعيد الاختبارات التحريرية لمسابقة الإيفاد للخارج
مذكرة توقيف دولية جديدة بحق بشار الأسد
جدل واسع بعد إعلان مؤسس OpenAI السماح بمحتوى جنسي في ”شات جي...
مدبولي: دعم الفئات المتأثرة بأسعار السولار أولوية.. والحكومة تدرس إجراءات حماية جديدة
اكتشاف ”شبه قمر” جديد للأرض يدور معها حتى عام 2083
مدينة دسوق بكفر الشيخ تستعد للاحتفال بمولد الدسوقي
الإعلامي الحكومي: سيتم دفن جثامين 54 شهيدا فلسطينيا احتجزهم الاحتلال الإسرائيلي
الاحتلال يواصل إجرامه في الضفة الغربية.. اعتقالات ومداهمات وحصار للناس بالشوارع
نتنياهو يزعم عزل حماس والنجاح في إعادة الأسرى
بالتفاصيل.. غدا فتح باب التقديم لحج الجمعيات الأهلية موسم 2056
غدا.. طقس حار نهارا مائل للبرودة ليلا والعظمى في القاهرة 33 درجة
موعد بداية فصل الشتاء في مصر وإلغاء التوقيت الصيفي
حماس تعلن استعدادها لتسليم جثتي أسيرتين في غزة
قرارات عاجلة بشأن امتحانات شهر أكتوبر لطلاب أولى و 2 ثانوي
بريطانيا ترفع هيئة تحرير الشام من قائمتها للمنظمات الإرهابية
الخميس أول أيام شهر جمادى الأول لعام 1447 هجريا
فئات ممنوعة من حج الجمعيات هذا العام
خليل الحية: رعاية الرئيسين السيسي وترامب تؤكد صمود اتفاق غزة ونهاية الحرب
درجات الحرارة اليوم الثلاثاء.. العظمى في القاهرة 32
الصحة: حملة لمكافحة الطفيليات المعوية في هذه المدارس
الأرصاد: شبورة مائية كثيفة على هذه الطرق اليوم
الملك عبد الله الثاني يحذر من خطورة الإجراءات الإسرائيلية الأحادية ضد الفلسطينيين
غرة شهر جمادى الأولى 1447 هجرياً فلكياً يوم الخميس 23 أكتوبر 2025
المركز الفلسطيني للدفاع عن حقوق الأسرى يرصد مدى سوء الاحتلال معهم
السيسي يستعرض آليات تعظيم الاستفادة من أصول هيئة الأوقاف
الكرملين: روسيا مستعدة لتوسيع التعاون مع إيران في جميع المجالات
موعد تطبيق التوقيت الشتوي وتأخير الساعة 60 دقيقة
التموين تطرح عبوة زيت جديدة بسعة 700 مللي بسعر 27 جنيهًا ضمن...
الاحتلال الإسرائيلي يعلن وقف إدخال المساعدات إلى غزة وإغلاق المعابر
رابط الاستعلام عن نتيجة حجز وحدات سكن لكل المصريين 7
قآن.. مقاتلة تركية تغير موازين القوة الجوية
الأرصاد تكشف مفاجأة عن تحول مفاجئ في طقس الساعات المقبلة
استشهاد 10 وإصابة آخرين في قصف للاحتلال على مخيم النصيرات منذ الصباح
كتائب القسام تعلن العثور على جثة أحد أسرى الاحتلال خلال عمليات البحث
بالأسماء.. السيسي يكرم عددا من أبطال حرب أكتوبر
حماس: الاحتلال ومستوطنوه يسعون واهمين إلى قتل مظاهر الحياة في الضفة الغربية
مصدر أمني بالاحتلال: ستكون هناك هجمات إضافية ضد حماس
السيسي: مصر تستضيف مؤتمرًا دوليًا لإعادة إعمار غزة فى نوفمبر
موعد صرف مرتبات أكتوبر 2025 للعاملين بالدولة
هيئة الدواء: إخلاء السوق من الأدوية منتهية الصلاحية قبل 30 أكتوبر الجاري
القسام تعلن تسليم جثتين لجنود إسرائيليين الليلة ضمن صفقة تبادل الأسرى
الأرصاد تكشف حالة طقس الغد ودرجات الحرارة
خطوات وتفاصيل تحديث بيانات بطاقة التموين
القيادي في حماس محمد نزال: لا أستطيع الإجابة عما إذا كنا ستتخلى...
حالة الطقس غدا.. الأرصاد تحذر من رياح تضرب مناطق في سيناء والصعيد
34 شهيدا و122 جريحاً بسبب 129 انتهاكاً إسرائيلياً لوقف النار في غزة
أونروا: 8 آلاف معلم جاهزون لاستئناف العملية التعليمية في غزة
كيفية معرفة المقر الانتخابي للادلاء بالصوت لمجلس النواب
صحة غزة: استلمنا جثامين 15 شهيدًا يظهر على عدد منها علامات تنكيل
طقس خريفي مستقر وارتفاع طفيف في درجات الحرارة خلال الأيام المقبلة
السيسي ورئيس وزراء ماليزيا: تنسيق كامل لإنهاء حرب غزة وإطلاق مسار الدولة...
الممنوعون من السفر لحج القرعة 2026
مراسل يسأل المتحدثة باسم البيت الأبيض: من اختار بودابست لقمة ترمب وبوتين؟...
الإحصاء: 206 آلاف مخالفة بناء في 2024.. و98.7% منها في القطاع...
وزارة العمل تعلن عن وظائف جديدة في 13 محافظة برواتب مجزية...
”الوطنية للانتخابات” تطلق قاعدة بيانات محدثة وتتيح تغيير اللجان الانتخابية
الجنائية الدولية ترفض طلب إسرائيل بتجميد مذكرة اعتقال نتنياهو
هانيبال القذافي بين الكفالة المليونية والمعركة القانونية
الأرصاد تعلن حالة طقس الأسبوع المقبل
بعد زيادة أسعار البنزين.. تعرف على طرق ترشيد استهلاك الوقود
منزلي وتجاري.. سعر اسطوانة الغاز اليوم
أول تعليق من حماس على مقتل محمد عبد الكريم الغماري
بالأسماء.. القائمة الكاملة لمرشحي مجلس النواب بنظام الفردي
رسميا.. زيادة أسعار البنزين بقيمة 2 جنيه
بعد تصريح وزير التعليم عن التوسع فيها.. تعرف على أهم مبادئ المدارس...
«
»