إعصار “ميليسا” العملاق يضرب جامايكا بقوة غير مسبوقة
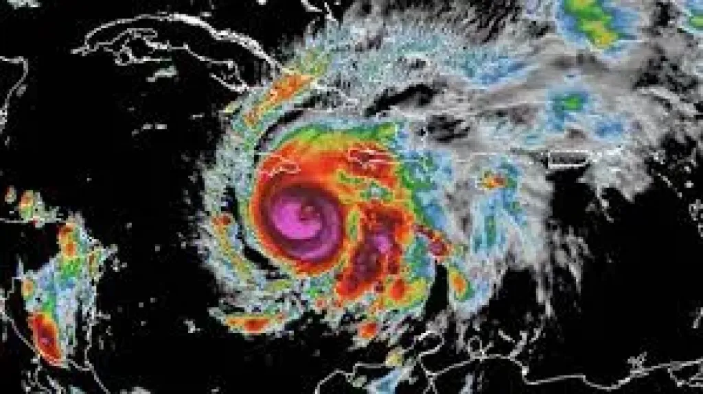
حذّر خبراء الأرصاد الجوية من إعصار مدمر يضرب جزيرة جامايكا، حيث وصلت العاصفة "ميليسا" إلى الدرجة الخامسة، وهي الأعلى على مقياس الأعاصير، مصحوبة برياح مدمرة وأمطار غزيرة تُعد من بين الأعنف في تاريخ الكاريبي.
ووفقًا لتقارير المركز الوطني الأمريكي للأعاصير، من المتوقع أن يتسبب الإعصار في هطول أمطار تصل إلى 40 بوصة (نحو متر كامل)، إضافة إلى موجات مدّ عاتية يتراوح ارتفاعها بين 9 و13 قدمًا، ما ينذر بفيضانات كارثية وانهيارات أرضية محتملة في مناطق واسعة من الجزيرة.
وأشار تقرير نشرته صحيفة واشنطن بوست إلى أن الأقمار الصناعية رصدت خلال يومي الأحد والاثنين تسارعًا غير مسبوق في قوة الإعصار، مما دفع الخبراء إلى وصف ما يحدث بأنه “تاريخ يُكتب عبر الأقمار الصناعية”.
وأعلنت حكومة جامايكا حالة الطوارئ الوطنية، وأمرت بعمليات إجلاء عاجلة للسكان في المناطق الساحلية، مع إغلاق المدارس والموانئ والمطارات. كما تم نشر وحدات من الجيش وقوات الدفاع المدني للمساعدة في جهود الإنقاذ والإغاثة.
وأكد خبراء الطقس أن “ميليسا” يُعد من أقوى الأعاصير التي تضرب الكاريبي في العقد الأخير، مشيرين إلى أن ارتفاع حرارة المحيطات بسبب تغير المناخ ساهم في تسارع وتيرة الإعصار بشكل غير مسبوق.
ومن المتوقع أن تتجه العاصفة بعد مرورها على جامايكا نحو كوبا وجزر الباهاما، وسط مخاوف من امتداد تأثيرها إلى أجزاء من الساحل الجنوبي للولايات المتحدة في الأيام المقبلة.
ويتابع العالم بقلق هذا الإعصار التاريخي الذي يهدد حياة الملايين في منطقة الكاريبي، وسط تحذيرات متزايدة من موسم أعاصير “غير طبيعي” قد يكون الأخطر منذ سنوات.
